Uchwała nr: XIV/224/2012 z dnia 17 lutego 2012 roku
Dodano: 16 kwietnia 2012 r. - godz. 08:44
Ostatnio zmodyfikowano: nie modyfikowano
Uchwała Nr XIV/224/2012
Rady Gminy Długosiodło
z dnia 17 lutego 2012 roku
w sprawie nadania nazwy ulicy
Na podstawie art. 18 ust. 2 pkt 13 ustawy z dnia 8 marca 1990 r o samorządzie gminnym /Dz. U. z 2001 r Nr 142, poz. 1591 z późn. zm./ Rada Gminy Długosiodło uchwala, co następuje:
§ 1.
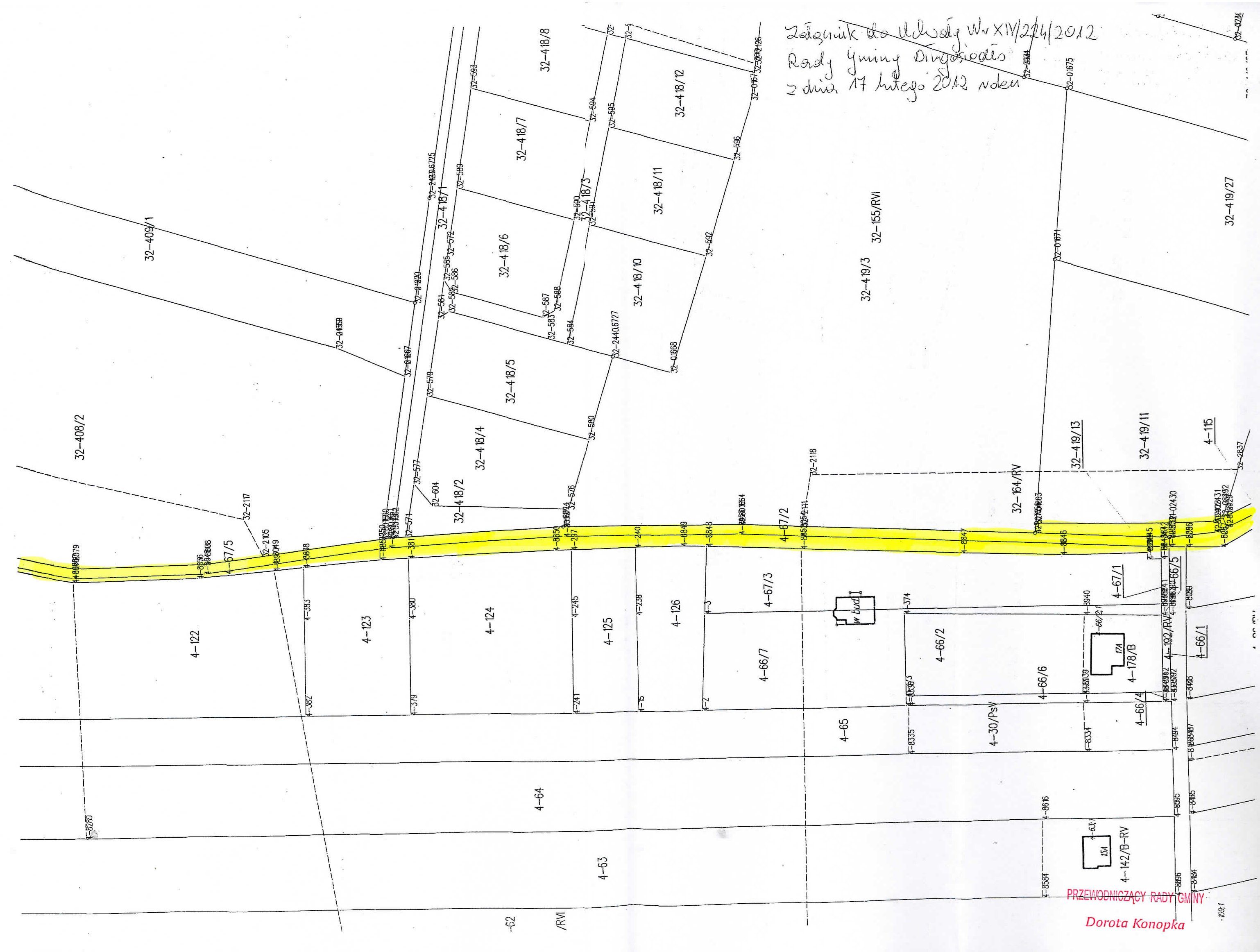
Drodze gminnej o numerze ewidencyjnym 67/2; 67/5 położonej w miejscowości Budy Przetycz nadaje się nazwę: "ul. Chabrowa". Załącznikiem do uchwały jest szkic sytuacyjny proponowanego przebiegu ulicy.
§ 2.
.Wykonanie uchwały powierza się Wójtowi Gminy.
§ 3.
Uchwała wchodzi w życie po upływie 14 dni od daty opublikowania w Dzienniku Urzędowym Województwa Mazowieckiego i rozplakatowaniu na terenie gminy w sposób zwyczajowo przyjęty.
LISTA ZAŁĄCZNIKÓW DO POBRANIA (LICZBA PLIKÓW: 1)
- Nazwa załącznika (link do pobrania)
- Pobrano
- Zaimportował
- Data i czas
- Szkic sytuacyjny proponowanego przebiegu ulicy
Rozmiar: 510.41 KB
- 646
- Radosław Michalak
- 2012-04-16 08:46:32






Biuletyn Informacji Publicznej Urzędu Gminy Długosiodło (2010 - 2026)